Newsletter Subscribe
Enter your email address below and subscribe to our newsletter

La Habana.- Las autoridades de La Habana señalaron este jueves que contabilizan hasta el momento más de 461 derrumbes totales y parciales, miles de evacuados y gran parte de esa región aún sin fluido eléctrico tras el impacto del huracán Rafael…

Por Anette Espinosa () La Habana.- La ciudad está herida y amaneció triste y apagada. Solo unos pocos transeúntes se mueven por la avenida. No se ve un carro y sí árboles caído por doquier. El panorama es terrible, y…

Por Anette Espinosa La Habana.- El impuesto presidente de Cuba, Miguel Díaz-Canel, visitará en la mañana de este jueves las áreas afectadas por el huracán Rafael en las provincias de Artemisa y Pinar del Río. Va a ir a caminar…

La Habana.- El Gobierno cubano reconoció en su primera evaluación de daños tras el paso por el occidente de la isla del huracán Rafael con categoría 3 (de cinco) en la escala Saffir-Simpson que las afectaciones en viviendas, infraestructura y la…

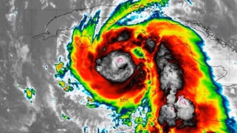
Miami.- Rafael está a horas de impactar en Cuba, donde previsiblemente tocará tierra en las próximas horas de este miércoles como un huracán mayor y producirá una peligrosa marejada ciclónica e inundaciones, informó el Centro Nacional de Huracanes (NHC, en…

La Habana.- El Instituto de Meteorología, una de las fuentes más confiables para los cubanos en cuanto a ciclones tropicales se refiere, advirtió este miércoles que el huracán Rafael continúa fortaleciéndose, a medida que se acerca al occidente de la…

Por Yoandy Videaux () Guantánamo.- En un artículo reciente, cuyo link dejamos debajo para que puedan consultarlo, nos referíamos al valor que tienen para el gobierno cubano los habaneros, en comparación con los habitantes de Guantánamo, y apenas han pasado…

Por Anette Espinosa () La Habana.- Cuando el huracán Oscar golpeó Guantánamo, los Consejos de Defensa a todas las instancias estaban activados, y aún así a los habitantes de Imías, San Antonio del Sur y buena parte de Baracoa, nadie…

La Habana.- La tormenta tropical #Rafael se acerca a la fuerza de huracán antes del impacto en Cuba este miércoles, según los pronósticos del Centro Nacional de Huracanes de los EEUU (NHC). Debe llegar al oeste de #Cuba e Isla…

Por Luis Enrique Ramos () La Habana.- Rafael trae un peligro potencial al occidente cubano. Si desafortunadamente nos golpeara con intensidad de huracán, se convertiría en el tercero de ese nombre en nuestra historia. El primero fue la Tormenta de…

Por Anette Espinosa () La Habana.- Para Sir Winston Churchill, el político debe ser capaz de prever lo que va a ocurrir mañana, el mes próximo y el año que viene, y de explicar después por qué no ha ocurrido.…

Por Adalixis Almaguer () Miami.- Abro mi teléfono a las seis de la mañana antes de salir de la cama -porque así vivimos los cubanos pegados del teléfono mientras tengamos encima la maldición de los nuestros en una zona de…